Im Oktober war ich nach einer Tauchsafari noch einen Tag Hausriff Tauchen in der Naama Bay in Sharm El Sheikh. Die einzelnen Riffblöcke liegen direkt vor der Küste, sind leicht zugänglich und steckt voller Leben. Für mich war es eines der spannensten Hausriffe, ideal für entspannte (und lange) Tauchgänge und bunte Schnorchelabenteuer.
Lage & Besonderheiten der Naama Bay
Die Naama Bay liegt in Sharm El-Sheikh und ist eines der beliebtesten Tauchgebiete am Roten Meer. Die geschützte Lage sorgt fast das ganze Jahr über für ruhige Bedingungen und gute Sichtweiten. Dadurch eignet sich die Bucht besonders gut für entspannte Tauchgänge und ist sowohl bei Einsteigern als auch bei erfahrenen Tauchern sehr beliebt.
Die Bucht ist touristisch gut erschlossen und von Hausriff-Hotels, Restaurants und Tauchbasen umgeben. Viele Tauchplätze sind direkt vom Strand aus erreichbar, was lange Bootsfahrten überflüssig macht.
✅ Besonderheiten der Naama Bay:
- 🌊 Geschützte Lage mit ruhigen Wasserbedingungen
- ☀️ Ganzjährig gute Sichtweiten
- 🚶 Einfacher Einstieg vom Strand
- 🧭 Gut geeignet für entspannte Tauchgänge und Ausbildung
- 🏝️ Zentrale Lage mit hervorragender Infrastruktur
- 📆 Ideal für Einsteiger, aber auch beliebt bei erfahrenen Tauchern
Die Besonderheiten des Subex Hausriffs
Bei meinem Aufenthalt an der Naama Bay waren wir bei SUBEX – The Art of Diving tauchen und konnten das Hausriff ausgiebig erkunden. Der Einstieg liegt direkt am Strand und ist super unkompliziert. Schon nach wenigen Flossenschlägen bist du mitten im Riffbereich.
Das Riff ist übersichtlich aufgebaut und gut strukturiert. Mehrere markante Korallenblöcke ziehen sich parallel zur Küste und bilden die Hauptorientierung unter Wasser. Dazwischen gibt es offene Sandflächen, durch die man entspannt tauchen kann. Die Tiefe nimmt sanft zu, sodass du deinen Tauchgang sehr flexibel gestalten kannst. Vom flachen Bereich bis auf etwa 35 Meter ist hier alles dabei.

Das Highlight des Hausriffs sind die 3 weitläufigen Seegraswiesen. Hier leben rund sieben ansässige, namentlich bekannte Schildkröten, die regelmäßig beim Grasen beobachtet werden können. Besonders am Vormittag und dem späten Nachmittag stehen die Chancen sehr gut, eine oder gleich mehrere dieser beeindruckenden Meeresschildkröten zu sehen.
Tauchen in der Naama Bay
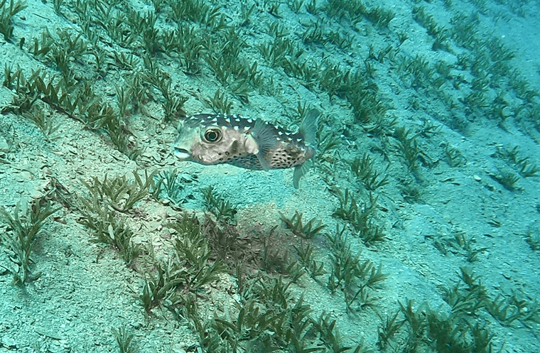
Während meines Aufenthalts an der Naama Bay habe ich zwei Tauchgänge direkt am Hausriff gemacht. Der erste Start war ganz entspannt gegen 10 Uhr morgens. Der Einstieg erfolgt direkt vom Strand aus. Schon auf den ersten Metern begegneten uns die ersten Korallenblöcke mit Kugelfischen, Kofferfischen und vielen weiteren Rifffischen. Die vorderen Blöcke sind zwar korallenmäßig schon etwas mitgenommen, aber das ändert sich schnell, je weiter man hinaustaucht.
Besonders beeindruckend war ein großer Block mit riesigen Tischkorallen und dichten gelben Fischschwärmen. Die Korallen dort sind in erstaunlich gutem Zustand. Wir sind mehrere Blöcke gemütlich abgetaucht und haben auch die Seegraswiesen erkundet. Leider ohne Schildkröten an diesem Tag 🙁 Dafür kam dort aber ein neugieriger Kugelfisch sehr nah an mich heran.
Ein echtes Highlight war ein dichter Schwarm Korallenwelse, der wie ein dunkler Ball über den Sand huschte.

Zum Abschluss tauchte ein winziger gelber Kofferfisch mit schwarzen Punkten auf, begleitet von kleinen Picasso-Drückerfischen. Der Tauchgang dauerte rund 90 Minuten und war wunderbar entspannt.
Beim zweiten Tauchgang ging es etwas tiefer. Neben vielen Kofferfischen, Steinfischen und Feuerfischen fanden wir eine kleine Höhle, die voll mit Glasfischen war. Das absolute Highlight waren zwei Adlerrochen, die elegant durch die Bucht zogen.

Außerdem haben wir mehrere Krokodilsfische, ein kleines Sportboot-Wrack und sehr territoriale Anemonenfische entdeckt. Zum Schluss jagten noch ein paar Stachelmakrelen. Ein spektakulärer Abschluss für einen großartigen Tauchgang.

Mein Fazit zum Hausriff in der Naama Bay ♥️: Ich habe schon an vielen Hausriffen in Ägypten getaucht, aber so viel Action direkt vor der Haustür habe ich selten erlebt. Auch ohne Schildkröten war das hier eines meiner besten Hausriff-Erlebnisse überhaupt. Die Aufnahmen, die dabei entstanden sind, sind einfach der Hammer.
✈️ Hast du Lust bekommen? Vergleiche jetzt günstige Pauschalreisen auf CHECK24* oder TUI* und starte dein Tauchabenteuer in Ägypten.
Erfahrungsbericht zur Tauchbasis SUBEX
Für unsere Tauchgänge waren wir mit der Subex Tauchbasis Sharm El Sheikh unterwegs. Wir wurden direkt und kostenlos vom Hotel abgeholt und zur Basis gebracht. Die Organisation war top, nach dem Papierkram und dem Anziehen ging es nach dem Briefing direkt ins Wasser. Die Basis ist deutschsprachig und wir haben uns dort sofort gut aufgehoben gefühlt.
Getaucht sind wir mit Aniata, die wirklich super auf uns eingegangen ist. Sie hat uns entspannt durch das Hausriff geführt und immer wieder kleine Besonderheiten gezeigt. Trotz einer starken Makro-Tendenz (viele kleine Krebse und Details) war es trotzdem richtig spannend. Besonders cool fand ich, dass es kein Zeitlimit gab. Wir konnten so lange tauchen, bis die Luft leer war. Das bedeutete rund 1,5 Stunden pro Tauchgang, teilweise sogar mehr.
Preislich ist SUBEX für einzelne Tauchgänge etwas teurer als andere Basen, aber wenn du öfter mit ihnen tauchst, wird es fair kalkuliert. Für mich war das Gesamtpaket aus Organisation, Atmosphäre und Flexibilität absolut überzeugend.
Schnorcheln in der Naama Bay – lohnt sich das?
Ja, du kannst in der Naama Bay auch schnorcheln. Direkt am Strand findest du flache Bereiche mit Seegras und ein paar kleineren Korallenblöcken. Dort tummeln sich Kugelfische, Kofferfische und einige bunte Riffbewohner.

Mein ehrliches Fazit: Schnorcheln hier ist okay, aber kommt nicht mal ansatzweise an das Tauchen am Hausriff heran. Die wirklich schönen Korallen und größeren Fischschwärme liegen einfach etwas weiter draußen. Wer aber entspannt vom Strand ins Wasser will und keinen großen Aufwand möchte, bekommt trotzdem ein nettes kleines Schnorchelerlebnis. 🤿
Beste Reisezeit & Bedingungen
Die Naama Bay ist ganzjährig ein beliebtes Ziel für Taucher. Das Klima ist warm und trocken, was perfekte Bedingungen für entspannte Tauchgänge schafft.
👉 Wassertemperatur: Zwischen 21 °C im Winter und bis zu 29 °C im Sommer. Ich bin bei 28 °C im UV-Shirt und Shorty-Tauchanzug getaucht.
👉 Lufttemperatur: Im Sommer oft über 30 °C, im Winter angenehm mild um die 20–25 °C.
👉 Sichtweiten: Zwischen 15 und 30 Metern, an guten Tagen sogar noch etwas mehr.
Die beste Reisezeit ist im Frühjahr (März bis Mai) und Herbst (September bis November). Dann ist das Wasser angenehm warm, die Sicht besonders klar und die Riffe sind voller Leben. 🌞🤿
Empfohlene Ausrüstung & Vorbereitung
Wenn du in der Naama Bay tauchen willst, brauchst du keine spezielle Ausrüstung wie bei kalten oder anspruchsvollen Tauchspots. Trotzdem lohnt sich eine gute Vorbereitung, damit du das Maximum aus deinen Tauchgängen herausholst.
👉 Leichte 3–5 mm Neoprenanzüge reichen das ganze Jahr über aus. Im Sommer geht auch ein Shorty.
👉 Kopfhaube für längere Tauchgänge oder empfindliche Taucher ist sinnvoll, vor allem im Winter.
👉 Neopren Füßlinge oder Wasserschuhe helfen beim Einstieg direkt vom Strand aus.
👉 Eigene Tauchmaske & Schnorchel sind hygienischer und passen perfekt, gerade bei empfindlicher Passform.
👉 Tauchcomputer gibt zusätzliche Sicherheit, besonders bei mehreren Tauchgängen pro Tag.
Häufige Fragen
Hier findest du die häufigsten Fragen rund ums Tauchen und Schnorcheln in der Naama Bay.
Ja, besonders in den flachen Bereichen direkt am Strand. Das Riff ist aber beim Tauchen deutlich spektakulärer.
Für Tauchgänge außerhalb der 15-km-Zone (z. B. Thistlegorm) brauchst du das vollständige Ägypten-Visum, sonst nicht.
Je nach Jahreszeit zwischen 21 °C im Winter und 29 °C im Sommer.
Ja, rund um die Seegraswiesen am Hausriff werden regelmäßig Schildkröten gesichtet.
Ja, das Hausriff ist ideal für entspannte Tauchgänge ohne große Strömung.
Zwei bis drei Tauchgänge pro Tag sind gut machbar, besonders am Hausriff.
Fazit: Warum sich das Tauchen an der Naama Bay lohnt
Die Naama Bay hat mich wirklich überrascht. Ich habe selten ein Hausriff erlebt, das so viel Leben bietet. Adlerrochen, Krokodilsfische, dichte Fischschwärme und tolle Korallen machen jeden Tauchgang zu einem Highlight.
Der Einstieg direkt vom Strand ist super einfach und perfekt für entspannte Tauchgänge. Auch wenn das Schnorcheln hier solide, aber nicht überragend ist, spielt das Tauchen definitiv in einer anderen Liga. Für mich zählt das Subex Hausriff zu den besten Spots, die man direkt vor der Hoteltür erleben kann.


